Sinjoor makelaars scoort een 4.5/5 rating
Gratis schatting

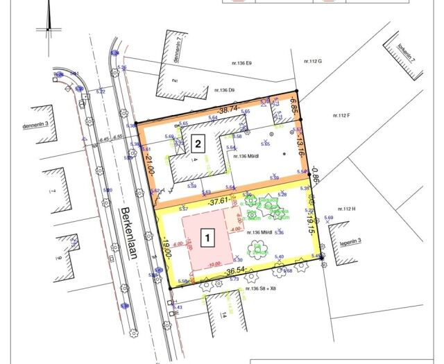
Villagrond in groene 'SINT LUCAS 'wijk in Ekeren DONK op 700 m²

€ 385.000
Interesse?

Villagrond in groene 'SINT LUCAS 'wijk in Ekeren DONK op 700 m² 25426

Berkenlaan 6, 2180 Ekeren

Villagrond in groene 'SINT LUCAS 'wijk in Ekeren DONK op 700 m²

 

Een breed perceel (19 x 37 m) in een rustige, groene wijk bij Sint Michiels college. Op wandelafstand van scholen, winkels, park en openbaar vervoer, met een vlotte verbinding naar de E19, Ring en Havenweg.

 

Bouwvoorschriften:

Bouwzone max 13m breed x 10m diep

1 of 2 bouwlagen onder hellend dak

Kelder toegelaten

Inpandige garage

Geen constructies in de zijtuinstrook

 

Interesse? Contacteer ons op 03 646 66 55 of info@sinjoor.be

Lees meer

Algemeen

  • Prijs€ 385.000
  • AdresBerkenlaan 6, 2180 Ekeren
  • ReferentieSIN/25/114-G
  • TypeOpen bouwgrond
  • Grond oppervlakte706m²
  • Voorgevel13m
  • Perceel breedte19m

Indeling

Comfort

Bijkomende informatie

  • Stedenbouwkundige bestemmingWoongebied
  • Stedenbouwkundige vergunningenNee
  • Dagvaarding en herstelvorderingGeen rechterlijke herstelmaatregel of bestuurlijke maatregel opgelegd
  • VoorkooprechtNee
  • VerkavelingsvergunningJa
  • Overstromingsgevoelig gebiedNiet gelegen in mogelijk overstromingsgevoelig gebied
  • P-score Klasse A
Lees meer

Contacteer ons over dit pand

Sinjoor Makelaars Merksem - Christophe Matthys

03 646 66 55 christophe@sinjoor.be



Niet gevonden wat je zocht? Neem contact op met onze makelaars en zij helpen jou een pand te vinden.

Gelijkaardige panden